深圳市规划和自然资源局盐田管理局关于公布盐田综合保税区(二期)围网及相关基础设施建设项目(Ⅰ期)查检台、监管用房、卡口和设备用房总平面图的通告
日期: 2020-05-18 来源:
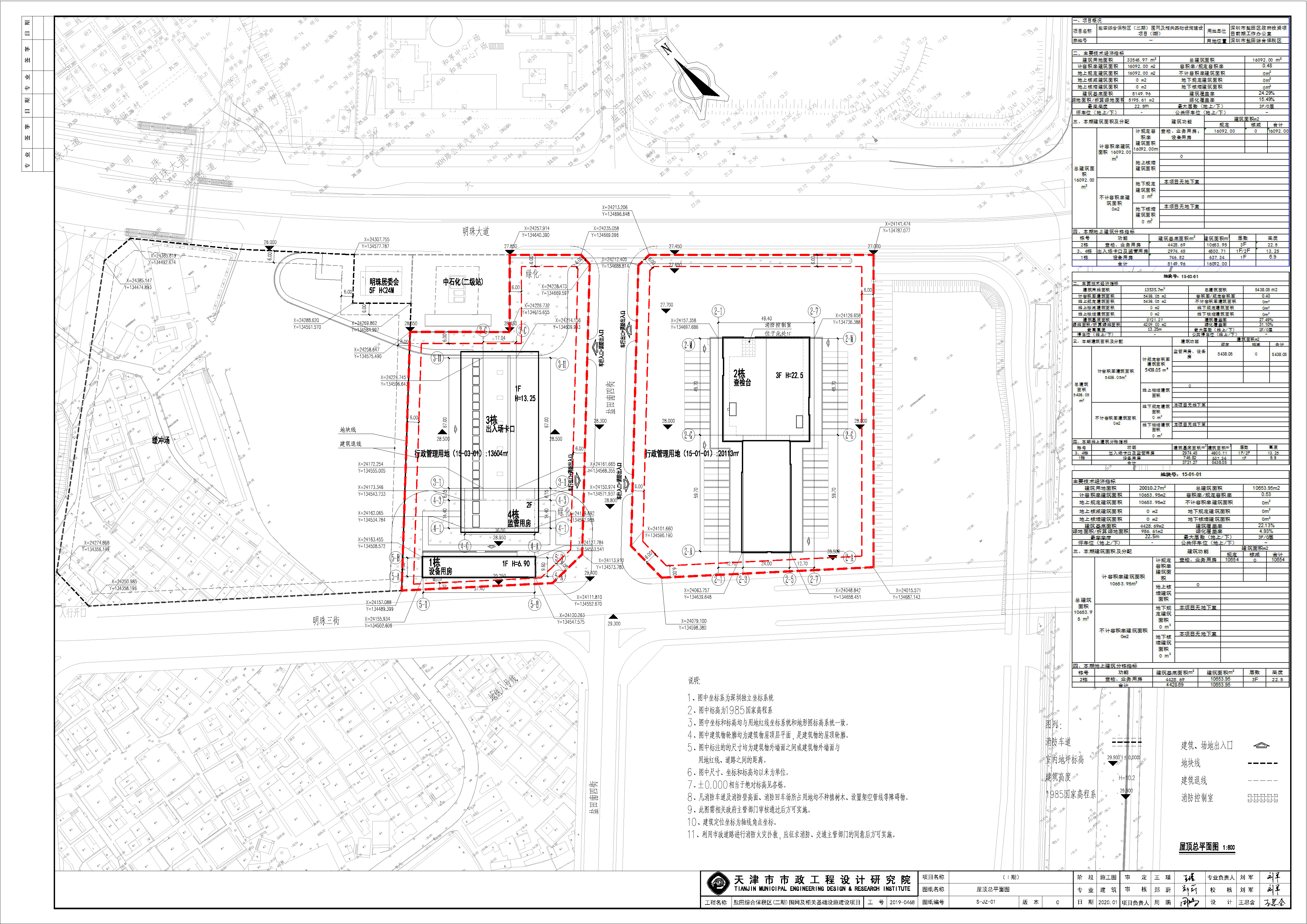
盐田综合保税区(二期)围网及相关基础设施建设项目(Ⅰ期)查检台、监管用房、卡口和设备用房位于盐田区盐田街道,建设用地面积33545.97㎡,土地用途为行政管理用地,允许建设规定建筑面积16092㎡,其中设备用房637.34㎡、查检业务用房10653.95㎡、出入场卡口及监管用房4800.71㎡。
经深圳市规划和自然资源局盐田管理局审查,同意核发《建设工程规划许可证》(深规划资源建许字YT-2020-0015号)。根据《中华人民共和国城乡规划法》第四十条的规定,现将本次审定的总平面图予以公布。
本通告及总平面图具体内容同时在深圳市规划和自然资源局网站(http://pnr.sz.gov.cn)予以公布。
附件:盐田综合保税区(二期)围网及相关基础设施建设项目(Ⅰ期)查检台、监管用房、卡口和设备用房总平面图
深圳市规划和自然资源局盐田管理局
2020年5月18日
(联系人:吴工,联系电话:25361178)
相关文档:
