市规划和自然资源局盐田管理局关于小梅沙海洋馆配套用房项目总平面图修改的通告
日期: 2025-03-20 来源:
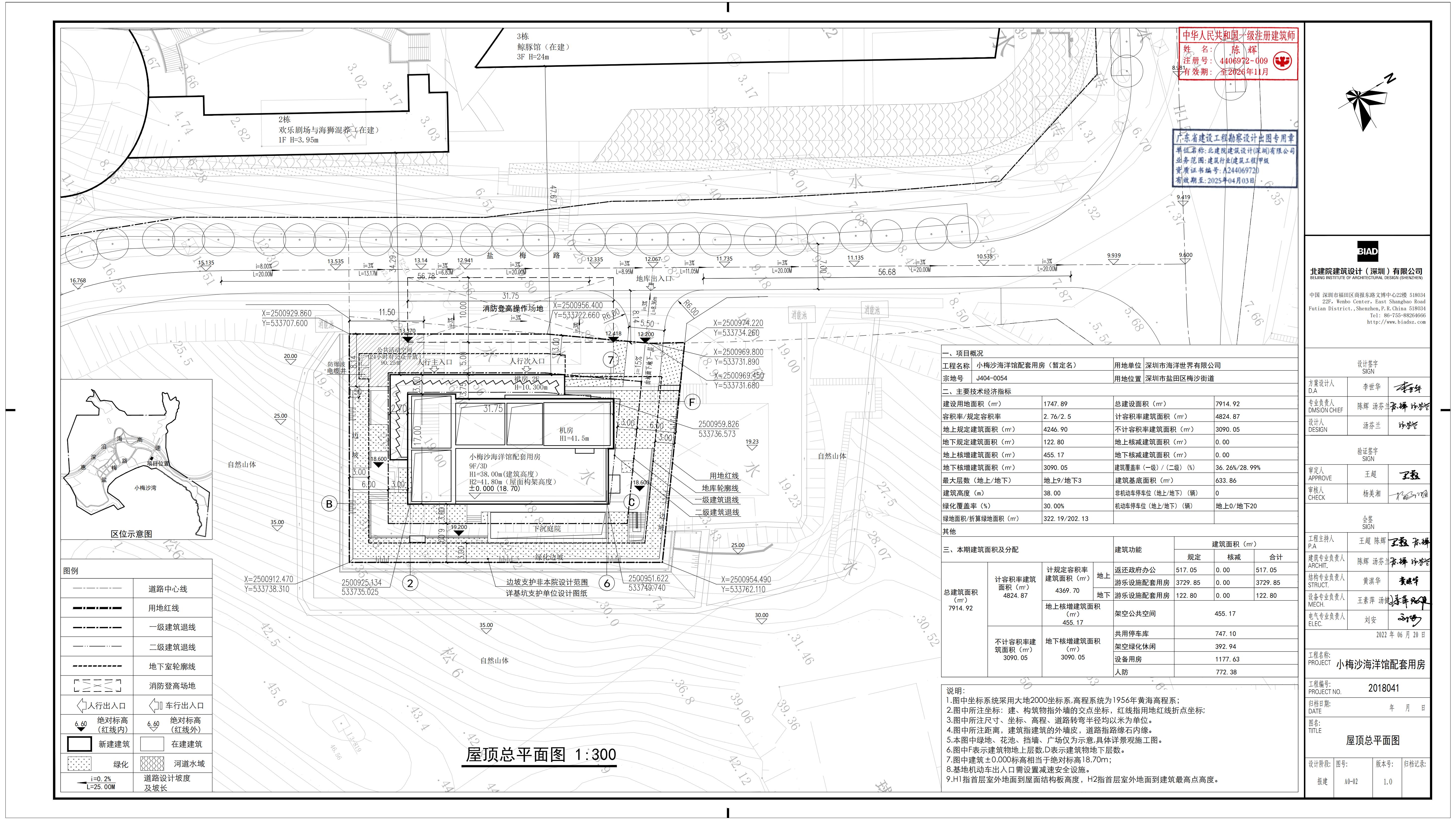
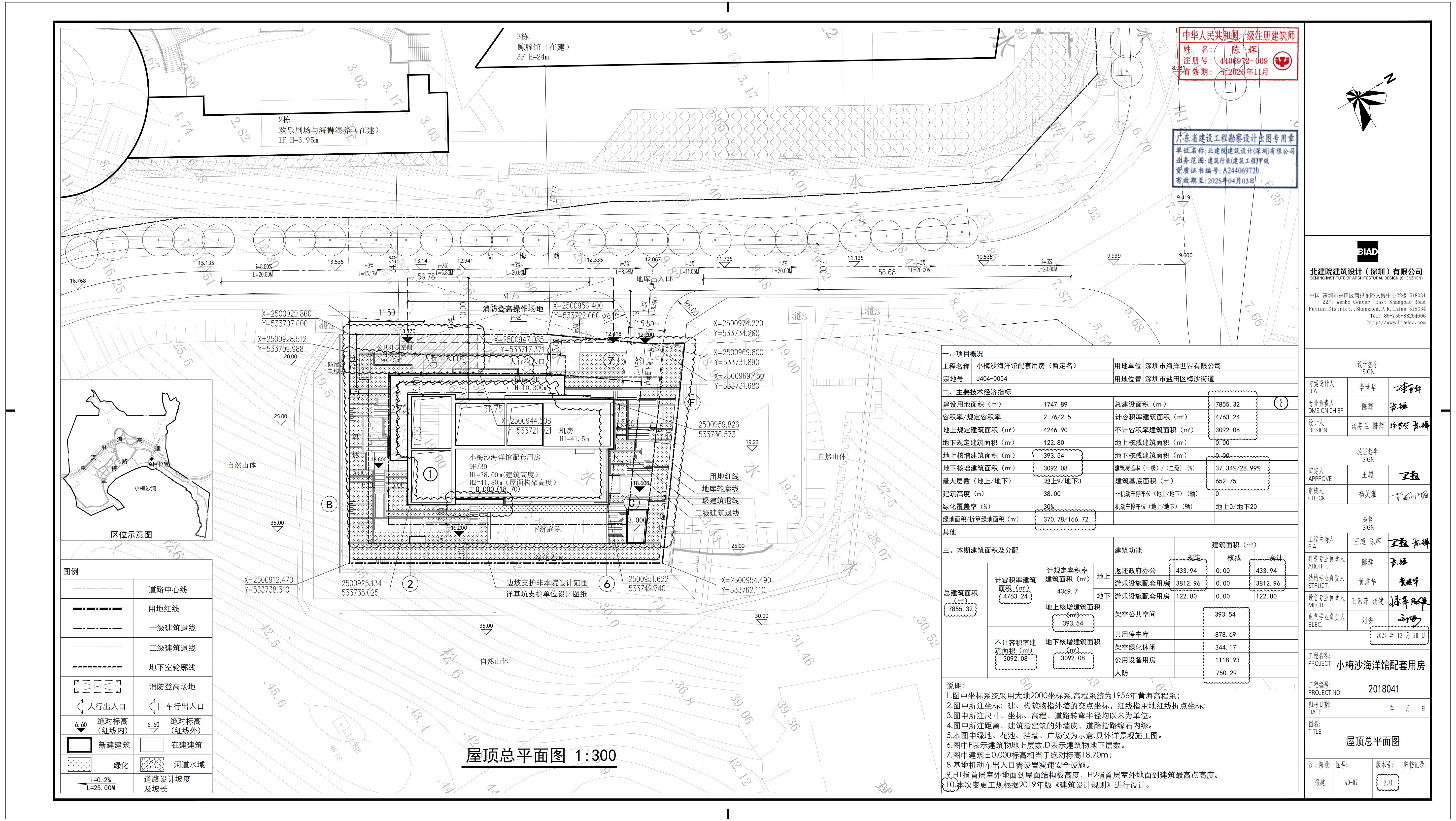
小梅沙海洋馆配套用房项目位于盐田区梅沙街道盐梅路附近,宗地号J404-0054,用地面积1749.89㎡,土地用途为游乐设施用地,用地单位为深圳市海洋世界有限公司。现用地单位申请对原屋顶总平面图进行修改,修改内容详见图纸圈云部分:
根据《中华人民共和国行政许可法》第四十七条及《中华人民共和国城乡规划法》第五十条的规定,现对该项目总平面图予以公示,公示期为10个工作日(2025年3月20日至2025年4月2日)。如对该项目屋顶总平面图修改有任何意见和建议,请在公示期内使用真实姓名及联系方式以书面形式反馈至深圳市规划和自然资源局盐田管理局(地址:盐田区海景路十号,邮编:518081,联系人:吴工,联系电话:0755-25361178)。相关利害关系人享有要求听证的权利,在公示期内提出听证申请的,我局将在二十日内组织听证。公示期满如无人提出申请,我局将按规定办理批准手续。
修改前后的屋顶总平面图等具体内容同时在深圳市规划和自然资源局网站(http://pnr.sz.gov.cn)、深圳市规划和自然资源局盐田管理局门户网站(http://pnr.sz.gov.cn/yt/)及项目现场一并公示。
附件:1.屋顶总平面图(修改前)
2.屋顶总平面图(修改后)
深圳市规划和自然资源局盐田管理局
2025年3月20日
相关文档:
