市规划和自然资源局盐田管理局关于鹏广达湾区壹号广场项目改建事宜公示的通告
日期: 2022-10-11 来源:
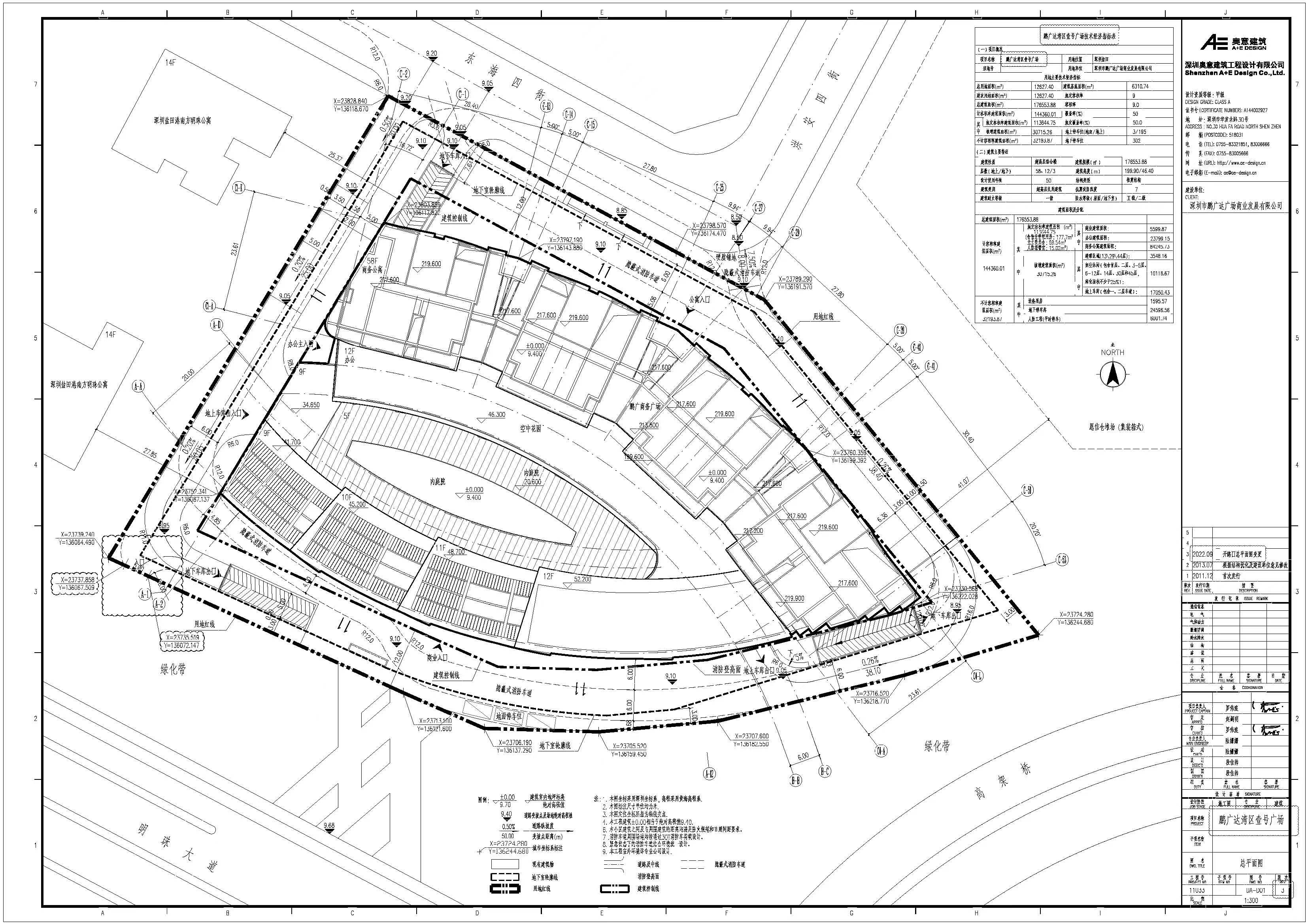
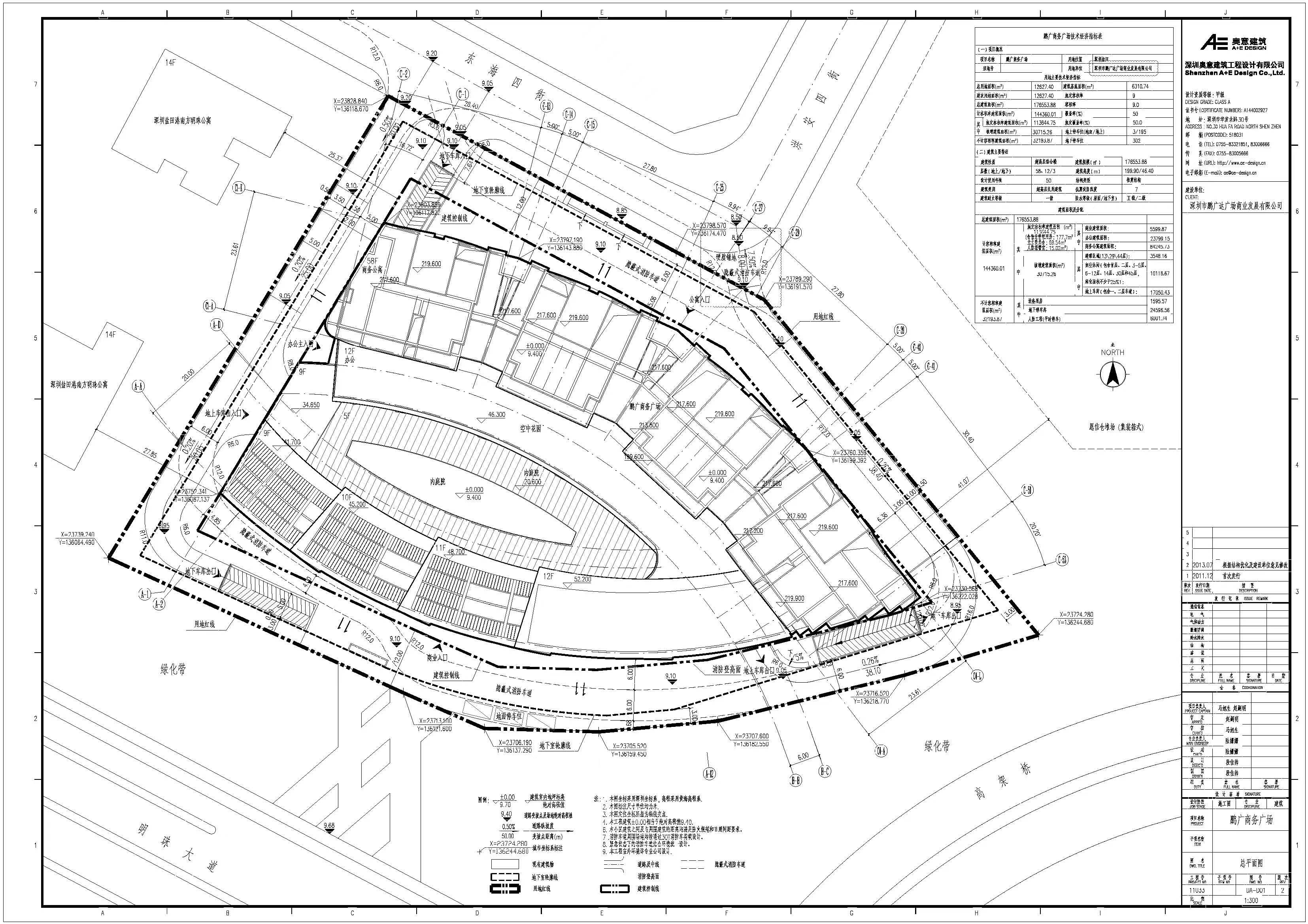
鹏广达湾区壹号广场项目位于盐田区后方陆域,宗地号为J305-0071,土地用途为商业性办公用地,用地面积为12627.4平方米,用地单位为深圳市鹏广达广场商业发展有限公司。该项目已于2022年6月10日取得《建设工程规划验收合格证》(YT-2022-0002号)。由于该项目用地周围现状交通条件限制,鹏广达广场商业发展有限公司申请在用地南侧增设1个机动车出入口(单进),设计示意图具体详见修改后总平面图中云线圈注部分。
根据《中华人民共和国行政许可法》第四十七条及《中华人民共和国城乡规划法》第五十条的规定,现对该项目图纸修改予以公示,公示期为10个工作日(2022年10月11至2022年10月24日)。如对该项目屋顶总平面图修改有任何意见和建议,请在公示期内使用真实姓名及联系方式以书面形式反馈至深圳市规划和自然资源局盐田管理局(地址:盐田区海景路十号,邮编:518081)。相关利害关系人享有要求听证的权利,在公示期内提出听证申请的,深圳市规划和自然资源局盐田管理局将在二十日内组织听证。公示期满如无人提出申请,深圳市规划和自然资源局盐田管理局将按规定办理批准手续。
本通告内容和修改前后的屋顶总平面图等具体内容同时在深圳市规划和自然资源局网站(http://pnr.sz.gov.cn)、深圳市规划和自然资源局盐田管理局网站(http://pnr.sz.gov.cn/yt/)及项目现场一并公示(联系人:吴工,联系电话:25361178)。
附件:1.鹏广达湾区壹号广场项目总平面图(改建前)
2.鹏广达湾区壹号广场项目总平面图(改建后)
深圳市规划和自然资源局盐田管理局
2022年10月11日
相关文档:
