关于罗湖“二线插花地”棚户区改造项目木棉岭片区01-02地块的建设工程项目总平面图修改的公示
日期: 2023-05-30 来源:
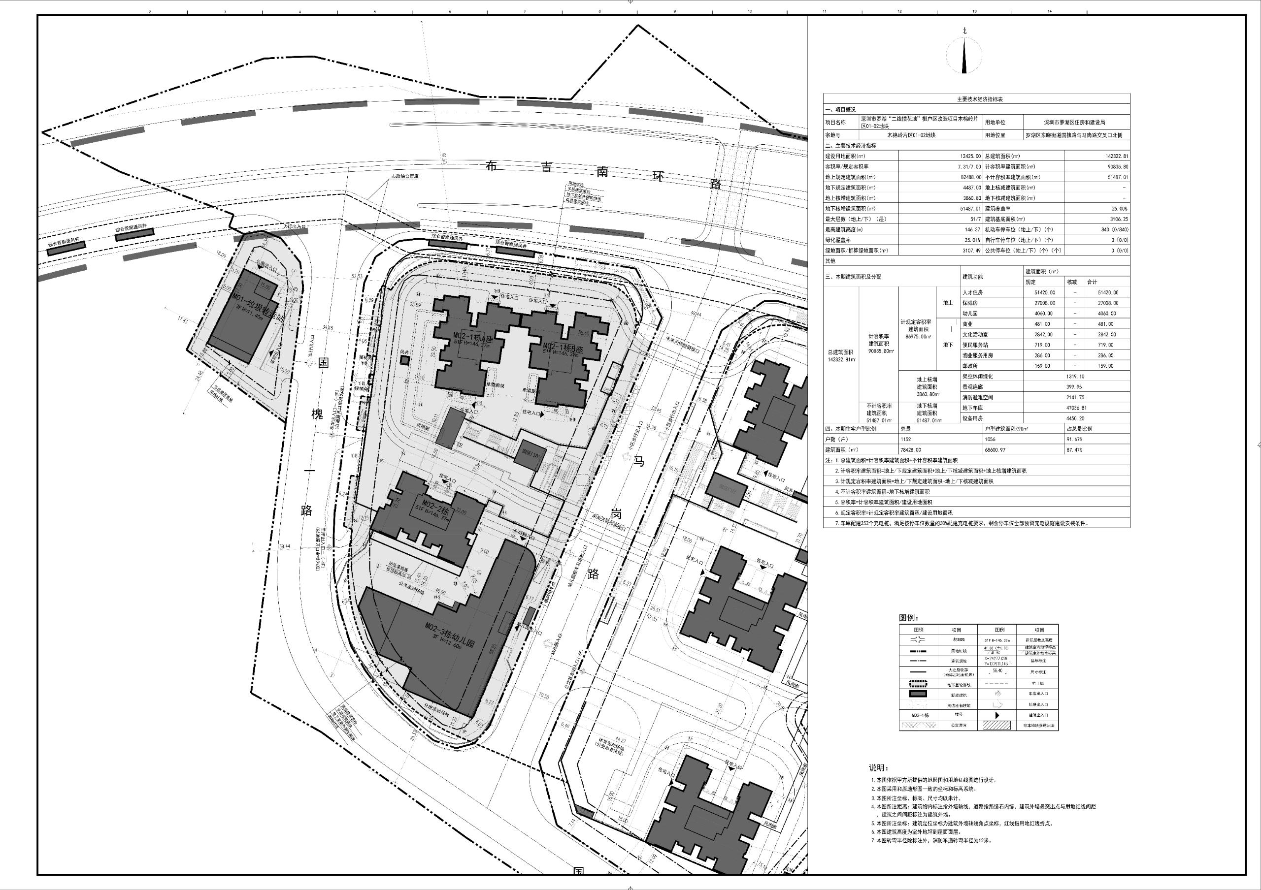
深圳市罗湖“二线插花地”棚户区改造项目木棉岭片区01-02地块项目(宗地号H407-0141)位于罗湖区东晓街道国槐路与马岗路交叉口北侧,2019年1月15日取得《深圳市建设工程规划许可证》(深规土建许字LH-2019-0004号)。深圳市罗湖区住房和建设局现申请施工图修改备案。
本次修改内容主要是落实景观二次深化设计(调整风雨连廊轮廓、室外台阶、景观栏杆、围墙轮廓,局部增加雨棚、景观棚、风雨连廊),地下室轮廓微调、幼儿园门口补充门卫、主入口处门房轮廓调整,完善与M03地块的天桥接口。
根据《中华人民共和国城乡规划法》的有关规定,现对该项目修改后的总平面图(附图)在《深圳特区报》、深圳市罗湖“二线插花地”棚户区改造项目木棉岭片区01-02地块项目现场公示栏、深圳市规划和自然资源局门户网站(http://pnr.sz.gov.cn)、深圳市规划和自然资源局罗湖管理局网站(http://pnr.sz.gov.cn/luohu)予以公示,公示期为10个工作日(2023年5月30日至2023年6月12日)。在公示期内,如对该项目的总平面图有意见和建议,请使用真实姓名及联系方式以书面意见形式与深圳市规划和自然资源局罗湖管理局联系。
联系人:周工联系电话:82348133
联系地址:深圳市罗湖区清水河一路博隆大厦5楼
附图:修改后总平面图
深圳市规划和自然资源局罗湖管理局
2023年5月30日
相关文档:
