深圳市规划和自然资源局光明管理局关于光明区区委二办(应急值班室、审计局办公楼)房地产登记历史遗留问题土地权属的公示
日期: 2025-06-30 来源:
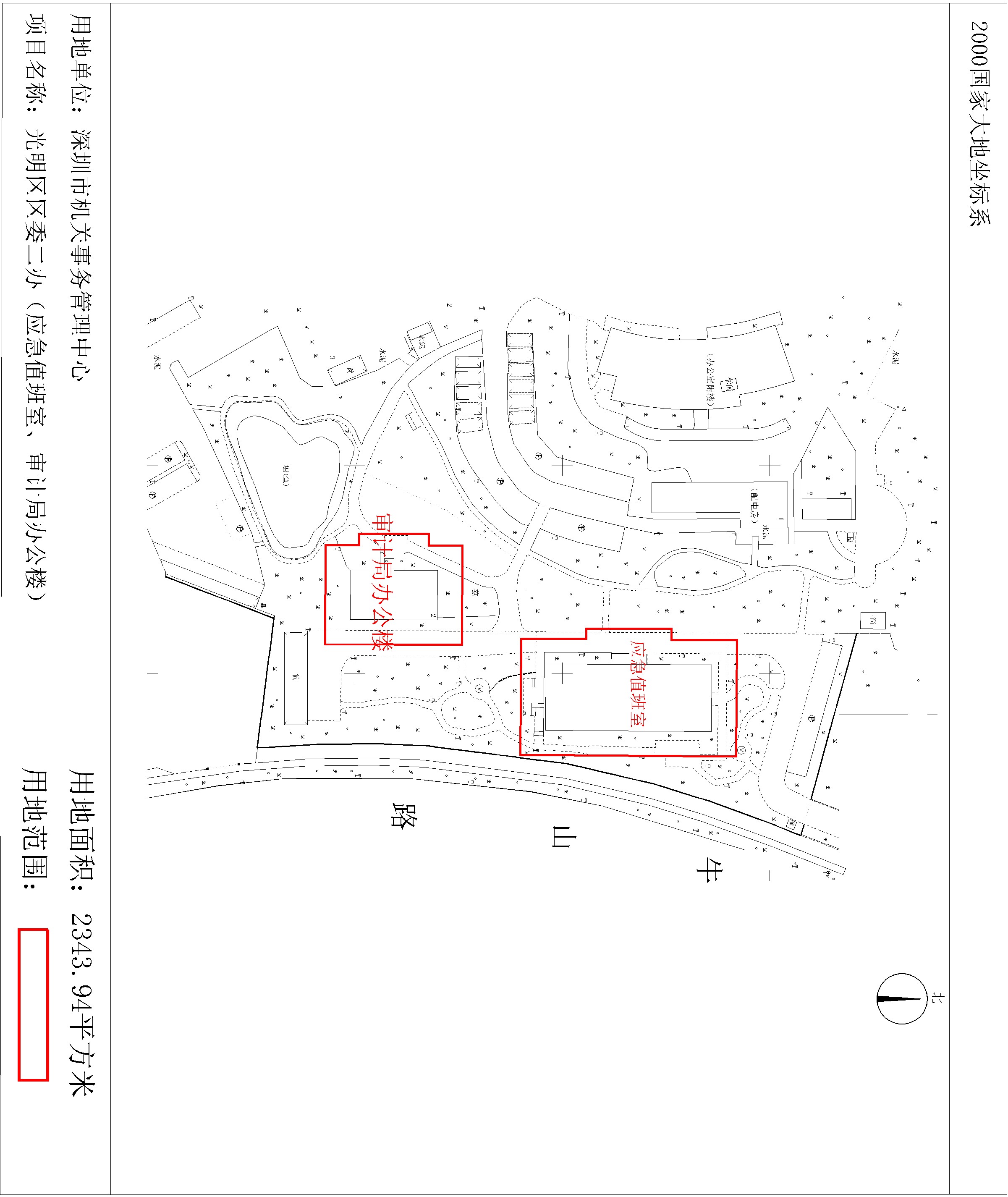
光明区区委二办(应急值班室、审计局办公楼)两处物业已纳入光明区党政机关办公用房及附属物业统一确权登记项目清单,现将光明区机关事务中心提供的上述两处物业用地范围进行公示,后续我局将结合公示等相关情况开展土地确权工作。上述两处物业位于深圳市光明区光明街道广场路1号,两处物业土地面积共计2343.94平方米(最终面积以土地权属证明文件为准),土地使用权人为深圳市光明区机关事务中心,权属来源为行政划拨,现根据有关规定予以公示:
一、公示时间
2025年7月1日至2025年7月21日(15个工作日)
二、公示方式和地点
本事项除在《深圳特区报》公示外,同步在下列网站和实地公示:
(一)网站
1.深圳市规划和自然资源局网站
http://pnr.sz.gov.cn/
2.深圳市规划和自然资源局光明管理局网站
http://pnr.sz.gov.cn/gm/
(二)实地
1.深圳市规划和自然资源局光明管理局
地址:深圳市光明区华夏路光明土地储备大厦一楼大厅
2.深圳市光明区光明街道办事处
地址:深圳市光明区光明街道光翠路158号
3.光明区区委二办(应急值班室、审计局办公楼)项目现场
地址:深圳市光明区光明街道广场路1号
三、公众意见征询
公示期间,任何单位、组织和个人对本公示所列内容均可提出意见或建议,请使用真实姓名及有效联系方式,通过书面方式将意见或建议寄往深圳市光明区华夏路光明土地储备大厦302室,并在信封上注明“公众意见”字样(邮寄以邮戳日期为准)。公众意见征询截止日期为2025年7月21日。我局将按相关规定对公众意见进行认真研究和处理。公示期满如无异议,我局将按程序审批。
四、联系方式
联系单位:深圳市规划和自然资源局光明管理局
单位地址:深圳市光明区华夏路光明土地储备大厦
邮政编码:518107
联系人:杜工
联系电话:0755-27406514
附件:地界范围图
深圳市规划和自然资源局光明管理局
2025年6月30日
相关文档:
